Product Info Summary
| SKU: | PB9920 |
|---|---|
| Size: | 100 μg/vial |
| Reactive Species: | Rat |
| Host: | Rabbit |
| Application: | Flow Cytometry, IHC |
Customers Who Bought This Also Bought
Product info
Product Name
Anti-Osteocalcin/BGLAP Antibody
SKU/Catalog Number
PB9920
PB1009 is an alternative SKU for this antibody, used in previous lots.
Size
100 μg/vial
Form
Lyophilized
Description
Boster Bio Anti-Osteocalcin/BGLAP Antibody catalog # PB9920. Tested in Flow Cytometry, IHC applications. This antibody reacts with Rat.
Storage & Handling
Store at -20˚C for one year from date of receipt. After reconstitution, at 4˚C for one month. It can also be aliquotted and stored frozen at -20˚C for six months. Avoid repeated freeze-thaw cycles.
Cite This Product
Anti-Osteocalcin/BGLAP Antibody (Boster Biological Technology, Pleasanton CA, USA, Catalog # PB9920)
Host
Rabbit
Contents
Each vial contains antibody formulated with stabilizing components, 0.9 mg NaCl, 0.2 mg Na2HPO4, and 0.05 mg NaN3.
*This antibody is supplied in a stabilized formulation.
Compatibility with conjugation reactions depends on the chemistry of the conjugation method used.
For conjugation methods that are not compatible with the stabilizing components present in this formulation, a carrier-free antibody format is required.
Clonality
Polyclonal
Isotype
Rabbit IgG
Immunogen
E. coli-derived rat Osteocalcin recombinant protein (Position: Y50-V99). Rat Osteocalcin shares 80.9% and 68.9% amino acid (aa) sequence identity with human and mouse Osteocalcin, respectively.
Cross-reactivity
No cross-reactivity with other proteins
Reactive Species
PB9920 is reactive to Bglap in Rat
Calculated molecular weight
10.9 kDa
Background of Bglap
Osteocalcin, also known as bone gamma-carboxyglutamic acid-containing protein (BGLAP), is a noncollagenous protein found in bone and dentin. In humans, the osteocalcin is encoded by the BGLAP gene. Its receptor is GPRC6A. It is mapped to 1q22. Osteocalcin may play a role in the body's metabolic regulation and is pro-osteoblastic, or bone-building. It acts as a hormone in the body, causing beta cellsin the pancreas to release more insulin, and at the same time directing fat cells to release the hormone adiponectin, which increases sensitivity to insulin. Also, it may play a role in male fertility. And it is found that picomolar amounts of osteocalcin affected insulin secretion and beta-cell proliferation.
Antibody Validation
Boster validates all antibodies on WB, IHC, ICC, Immunofluorescence, and ELISA with known positive control and negative samples to ensure specificity and high affinity, including thorough antibody incubations.
Application & Images
Applications
PB9920 is guaranteed for Flow Cytometry, IHC Boster Guarantee
Assay Dilutions Recommendation
The recommendations below provide a starting point for assay optimization. The actual working concentration varies and should be decided by the user.
Immunohistochemistry (Paraffin-embedded Section), 0.5-1μg/ml, Rat
Flow Cytometry (Fixed), 1-3μg/1x106 cells, Rat
Positive Control
IHC: rat tibia tissue
FCM: L6 cell
Validation Images & Assay Conditions
Click image to see more details
IHC analysis of Osteocalcin using anti-Osteocalcin antibody (PB9920).
Osteocalcin was detected in paraffin-embedded section of rat tibia tissues. Heat mediated antigen retrieval was performed in citrate buffer (pH6, epitope retrieval solution) for 20 mins. The tissue section was blocked with 10% goat serum. The tissue section was then incubated with 1μg/ml rabbit anti-Osteocalcin Antibody (PB9920) overnight at 4°C. Biotinylated goat anti-rabbit IgG was used as secondary antibody and incubated for 30 minutes at 37°C. The tissue section was developed using Strepavidin-Biotin-Complex (SABC)(Catalog # SA1022) with DAB as the chromogen.
Click image to see more details
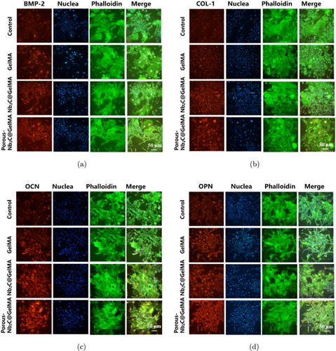
IF staining images of (a) BMP-2, (b) COL-1, (c) OCN, and (d) OPN in BMSCs (red: osteogenic proteins and genes; green: cytoskeleton; blue: nucleus).
Index in PubMed under a CC BY license. PMID: 10.1142/S1793545824420021
Click image to see more details
In vitro osteoclast inhibition and osteogenic differentiation evaluation of F-14-TNA. A) Osteogenic differentiation of BMSCs treated with various groups by ALP at 7 days and ARS at 21 days. B) Phalloidin-labeled osteoclast cytoskeleton. C–E) IF analysis revealed RUNX2, OCN, and OPN expression in BMSCs cells. F) WB analysis revealed XB130, p-Src, p-PI3K, and p-Akt expression in BMSCs cells. N = 3.
Index in PubMed under a CC BY license. PMID: 40952251
Click image to see more details
Histological and IF analyses. A) TB staining and IHC staining (OCN) of the bone tissue around the implant at postoperative 2 and 4 weeks. B) TRAP staining of the bone tissue around the implant at postoperative 2 and 4 weeks. C) IF staining of CD68 (M1) and CD206 (M2) for macrophage polarization.
Index in PubMed under a CC BY license. PMID: 40952251
Click image to see more details
Flow Cytometry analysis of L6 cells using anti-Osteocalcin antibody (PB9920).
Overlay histogram showing L6 cells stained with PB9920 (Blue line). To facilitate intracellular staining, cells were fixed with 4% paraformaldehyde and permeabilized with permeabilization buffer. The cells were blocked with 10% normal goat serum. And then incubated with rabbit anti-Osteocalcin Antibody (PB9920,1μg/1x106 cells) for 30 min at 20°C. DyLight®488 conjugated goat anti-rabbit IgG (BA1127, 5-10μg/1x106 cells) was used as secondary antibody for 30 minutes at 20°C. Isotype control antibody (Green line) was rabbit IgG (1μg/1x106) used under the same conditions. Unlabelled sample (Red line) was also used as a control.
Specific Publications For Anti-Osteocalcin/BGLAP Antibody (PB9920)
Loading publications
Recommended Resources
Here are featured tools and databases that you might find useful.
- Boster's Pathways Library
- Protein Databases
- Bioscience Research Protocol Resources
- Data Processing & Analysis Software
- Photo Editing Software
- Scientific Literature Resources
- Research Paper Management Tools
- Molecular Biology Software
- Primer Design Tools
- Bioinformatics Tools
- Phylogenetic Tree Analysis
Customer Reviews
Have you used Anti-Osteocalcin/BGLAP Antibody?
Share your experimental results or join a short interview to earn up to $1,000 in product credits or other rewards.
1 Reviews For Anti-Osteocalcin/BGLAP Antibody
PB9920 successfully extracted rat osteocalcin from rat EDTA plasma--Chad Borges, Arizona State University, Biodesign Virginia G. Piper Center for Personalized Diagnostics, Assistant Professor
Excellent

Source: Customer Feedback Submission
| SKU | PB9920 |
|---|---|
| Applications | Picomole scale immunoprecipitation |
| Sample | Rat EDTA plasma |
| Detection | Bruker maXis 4G mass spectrometer (LC-MS; Q-TOF) |
"The immobilized antibody successfully extracted rat osteocalcin from rat EDTA plasma. The results shown align very well with mass and known posttranslational modifications of rat osteocalcin."
Chad Borges
Verified customer
Submitted 2017-08-21
Customer Q&As
Have a question?
Find answers in Q&As, reviews.
Can't find your answer?
Submit your question
13 Customer Q&As for Anti-Osteocalcin/BGLAP Antibody
Question
Would PB9920 anti-Osteocalcin/BGLAP antibody work on parafin embedded sections? If so, which fixation method do you recommend we use (PFA, paraformaldehyde, other)?
Verified Customer
Verified customer
Asked: 2020-02-26
Answer
You can see on the product datasheet, PB9920 anti-Osteocalcin/BGLAP antibody as been tested on ICC. It is best to use PFA for fixation because it has better tissue penetration ability. PFA needs to be prepared fresh before use. Long term stored PFA turns into formalin, as the PFA molecules congregate and become formalin.
Boster Scientific Support
Answered: 2020-02-26
Question
My lab would like using your anti-Osteocalcin/BGLAP antibody for cell aging studies. Has this antibody been tested with western blotting on l6 cells? We would like to see some validation images before ordering.
Verified Customer
Verified customer
Asked: 2019-09-16
Answer
We appreciate your inquiry. This PB9920 anti-Osteocalcin/BGLAP antibody is tested on l6 cells. It is guaranteed to work for Flow Cytometry, IHC, ICC in rat. Our Boster guarantee will cover your intended experiment even if the sample type has not been be directly tested.
Boster Scientific Support
Answered: 2019-09-16
Question
Can you help my question with product PB9920, anti-Osteocalcin/BGLAP antibody. I was wondering if it would be possible to conjugate this antibody with biotin. I would need it to be without BSA or sodium azide. I am planning on using a buffer exchange of sodium azide with PBS only. Would there be problems for me to conjugate the antibody and store it in -20 degrees in small aliquots?
Verified Customer
Verified customer
Asked: 2019-08-19
Answer
We do not recommend storing this antibody with PBS buffer only in -20 degrees. If you want to store it in -20 degrees it is best to add some cryoprotectant like glycerol. If you want carrier free PB9920 anti-Osteocalcin/BGLAP antibody, we can provide it to you in a special formula with trehalose and/or glycerol. These molecules will not interfere with conjugation chemistry and provide a good level of protection for the antibody from degradation. Please be sure to specify this in your purchase order.
Boster Scientific Support
Answered: 2019-08-19
Question
Is this PB9920 anti-Osteocalcin/BGLAP antibody reactive to the isotypes of BGLAP?
Verified Customer
Verified customer
Asked: 2019-08-06
Answer
The immunogen of PB9920 anti-Osteocalcin/BGLAP antibody is E. coli-derived rat Osteocalcin recombinant protein (Position: Y50-V99). Rat Osteocalcin shares 80.9% and 68.9% amino acid (aa) sequence identity with human and mouse Osteocalcin, respectively. Could you tell me which isotype you are interested in so I can help see if the immunogen is part of this isotype?
Boster Scientific Support
Answered: 2019-08-06
Question
I was wanting to use your anti-Osteocalcin/BGLAP antibody for ICC for rat myometrium on frozen tissues, but I want to know if it has been validated for this particular application. Has this antibody been validated and is this antibody a good choice for rat myometrium identification?
Verified Customer
Verified customer
Asked: 2019-05-15
Answer
You can see on the product datasheet, PB9920 anti-Osteocalcin/BGLAP antibody has been tested for Flow Cytometry, IHC, ICC on rat tissues. We have an innovator award program that if you test this antibody and show it works in rat myometrium in IHC-frozen, you can get your next antibody for free.
Boster Scientific Support
Answered: 2019-05-15
Question
Thanks for helping with my inquiry over the phone. Here are the WB image, lot number and protocol we used for myometrium using anti-Osteocalcin/BGLAP antibody PB9920. Let me know if you need anything else.
Verified Customer
Verified customer
Asked: 2018-08-24
Answer
Thank you for the data. You have provided everything we needed. Our lab team are working to resolve your inquiry as quickly as possible, and we appreciate your patience and understanding! Please let me know if there is anything you need in the meantime.
Boster Scientific Support
Answered: 2018-08-24
Question
I would like to test anti-Osteocalcin/BGLAP antibody PB9920 on rat myometrium for research purposes, then I may be interested in using anti-Osteocalcin/BGLAP antibody PB9920 for diagnostic purposes as well. Is the antibody suitable for diagnostic purposes?
Verified Customer
Verified customer
Asked: 2018-08-16
Answer
The products we sell, including anti-Osteocalcin/BGLAP antibody PB9920, are only intended for research use. They would not be suitable for use in diagnostic work. If you have the means to develop a product into diagnostic use, and are interested in collaborating with us and develop our product into an IVD product, please contact us for more discussions.
Boster Scientific Support
Answered: 2018-08-16
Question
I see that the anti-Osteocalcin/BGLAP antibody PB9920 works with ICC, what is the protocol used to produce the result images on the product page?
W. Zhang
Verified customer
Asked: 2018-05-18
Answer
You can find protocols for ICC on the "support/technical resources" section of our navigation menu. If you have any further questions, please send an email to support@bosterbio.com
Boster Scientific Support
Answered: 2018-05-18
Question
Is a blocking peptide available for product anti-Osteocalcin/BGLAP antibody (PB9920)?
V. Baker
Verified customer
Asked: 2016-08-16
Answer
We do provide the blocking peptide for product anti-Osteocalcin/BGLAP antibody (PB9920). If you would like to place an order for it please contact support@bosterbio.com and make a special request.
Boster Scientific Support
Answered: 2016-08-16
Question
Do you have a BSA free version of anti-Osteocalcin/BGLAP antibody PB9920 available?
D. Li
Verified customer
Asked: 2014-12-22
Answer
Thanks for your recent telephone inquiry. I can confirm that some lots of this anti-Osteocalcin/BGLAP antibody PB9920 are BSA free. For now, these lots are available and we can make a BSA free formula for you free of charge. It will take 3 extra days to prepare. If you require this antibody BSA free again in future, please do not hesitate to contact me and I will be pleased to check which lots we have in stock that are BSA free.
Boster Scientific Support
Answered: 2014-12-22
Question
We are currently using anti-Osteocalcin/BGLAP antibody PB9920 for rat tissue, and we are happy with the ICC results. The species of reactivity given in the datasheet says rat. Is it possible that the antibody can work on primate tissues as well?
J. Roberts
Verified customer
Asked: 2014-03-12
Answer
The anti-Osteocalcin/BGLAP antibody (PB9920) has not been tested for cross reactivity specifically with primate tissues, but there is a good chance of cross reactivity. We have an innovator award program that if you test this antibody and show it works in primate you can get your next antibody for free. Please contact me if I can help you with anything.
Boster Scientific Support
Answered: 2014-03-12
Question
Would anti-Osteocalcin/BGLAP antibody PB9920 work for ICC with myometrium?
T. Brown
Verified customer
Asked: 2014-01-07
Answer
According to the expression profile of myometrium, BGLAP is highly expressed in myometrium. So, it is likely that anti-Osteocalcin/BGLAP antibody PB9920 will work for ICC with myometrium.
Boster Scientific Support
Answered: 2014-01-07
Question
See below the WB image, lot number and protocol we used for myometrium using anti-Osteocalcin/BGLAP antibody PB9920. Please let me know if you require anything else.
O. Mitchell
Verified customer
Asked: 2013-11-19
Answer
Thank you very much for the data. Our lab team are working to resolve this as quickly as possible, and we appreciate your patience and understanding! You have provided everything we needed. Please let me know if there is anything you need in the meantime.
Boster Scientific Support
Answered: 2013-11-19


